to
Reset
Houses
Townhouses
Condos
Land
Price
to
SQFT
to
Bdrms
to
Baths
to
Lot
to
Yr Built
to
Sold
Listed within...
Listed at least...
Offer Review
New Construction
Waterfront
Short-Sales
REO
Parking
to
Unit Flr
to
Unit Nbr
Listings
Neighborhoods
Complexes
Developments
Cities
Counties
Zip Codes
Neighborhood · Condo · Development
School District
Zip Code
City
County
Builder
Listing Numbers
Broker LAG
Boundary Lines
Labels
View
Sort
Sold Closed June 2, 2014
$49,000
10,000 Sqft Lot
No Garage
HOA Dues $58 / month
SALE HISTORY
List price was $59,900
It took 2 days to go pending.
Then 128 days to close at $49,000
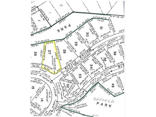
Looking for a lake view vacant lot in the Lake Whatcom watershed with house plans, survey, ULID paid, and permits ready? Come see this awesome opportunity! This high quality, fully serviced vacant lot is mere steps to Lake Whatcom! Its a corner lot, located only a half block away from Sofield Park - a community waterfront park in Sudden Valley. The community Marina, with 2 boat launches is only a short distance away. Enjoy custom home plans, and a low traffic waterfront neighborhood.
Offer Review
No offer review date was specified
Listing source NWMLS MLS #
585686
Listed by
Greg Paul, RE/MAX Whatcom County, Inc.
Buyer's broker
Greg Paul, RE/MAX Whatcom County, Inc.
We don't currently have a buyer representative in this area. To be sure that you're getting objective advice, we always suggest buyers work with their own agent, someone who is not affiliated with the seller.
Property History
Aug 10, 2017
Sold
$500,000
NWMLS #1157556 Annualized 13.1% / yr
Oct 15, 2015
Sold
$399,900
NWMLS #749688 Annualized 362.9% / yr
Jun 01, 2014
Sold
$49,000
NWMLS #585686
Mar 22, 2012
Sold
$49,000
More
Listing Details
  • Sale Price
    $49,000
  • Closing Date
    June 2, 2014
  • Last List Price
    $59,900
  • Original Price
    Same
  • List Date
    January 23, 2014
  • Pending Date
    January 25, 2014
  • Days to go Pending
    2 days
  • $/sqft (Total)
    --
  • $/sqft (Finished)
    /sqft
  • Listing Source
  • MLS Number
    585686
  • Listing Broker
    Greg Paul
  • Listing Office
    RE/MAX Whatcom County, Inc.
  • Buyer's Broker
    Greg Paul
  • Buyer Broker's Firm
    RE/MAX Whatcom County, Inc.
Monthly Payment Estimate
  • Principal and Interest
    $257 / month
  • HOA
    $58 / month
  • Property Taxes
    $72 / month
  • Homeowners Insurance
    $63 / month
  • TOTAL
    $450 / month

  • based on 20% down
    ($9,800)
  • and a
    6.85% Interest Rate
  • About:
    All calculations are estimates only and provided by Mainview LLC. Actual amounts will vary.
Property Details
  • Sqft (Total)
    0 sqft
  • Sqft (Finished)
    0 sqft
  • Sqft (Unfinished)
    None
  • Property Type
    Parcel
  • Sub Type
    Res-Less than 1 Acre
  • Bedrooms
    0 Bedrooms
  • Bathrooms
    0 Bathrooms
  • Lot
    10,000 sqft Lot
  • Lot Size Source
    Unspecified
  • Lot #
    27
  • Project
    Sudden Valley
  • Total Stories
    Unspecified
  • Sqft Source
    Unspecified
Property Tax Info
  • 2013 Property Taxes
    $858 / year
  • No Senior Exemption
Public Parcel Data & Maps
  • County
    Whatcom County
  • Parcel #
    3704051251990000
  • County Website
    Unspecified
  • County Parcel Map
    Unspecified
  • County GIS Map
    Unspecified
  • About
    County links provided by Mainview LLC
Schools
  • School District
    Bellingham
  • Elementary
    Geneva Elem
  • Middle
    Kulshan Mid
  • High School
    Bellingham High
HOA
  • HOA Dues
    $58 / month
  • Fees Assessed
    Monthly
  • HOA Dues Include
    Common Area Maintenance
    Road Maintenance
    Security
    Snow Removal
  • HOA Contact
    Unspecified
  • Management Contact
    Unspecified
Community Features
  • Community Features
    Boat Launch
    CCRs
    Club House
    Community Waterfront/Pvt Beach
    Gated
    Golf
    Tennis Courts
Parking
  • Covered
    Unspecified
  • Has Garage
    No
Views
  • Lake
    Mountain(s)
    Partial
Construction
  • Home Builder
    Unspecified
Cooling
Heating
Interior
Property
  • Lot Features
    Corner Lot
    Cul-De-Sac
    Open Space
    Paved
Appliances
Terms
  • Bank Owned (REO)
    No
Utilities
  • Sewer
    Available
Additional Info
  • Waterfront
    No
  • Air Conditioning (A/C)
    No
  • Buyer Broker's Compensation
    Unspecified
  • MLS Area #
    Area 850
  • Number of Photos
    6
  • Last Modification Time
    Saturday, March 27, 2021 9:10 PM
  • System Listing ID
    1450634
Update Info
Listing details based on information submitted to the MLS GRID as of Saturday, March 27, 2021 9:10 PM. All data is obtained from various sources and may not have been verified by broker or MLS GRID. Supplied Open House Information is subject to change without notice. All information should be independently reviewed and verified for accuracy. Properties may or may not be listed by the office/agent presenting the information.
View
Sort

Sharing

 
Sold June 2, 2014
$49,000   $59,900
NWMLS #585686. Greg Paul, RE/MAX Whatcom County, Inc.
Map
 
Listing information is provided by the listing agent except as follows: BuilderB indicates that our system has grouped this listing under a home builder name that doesn't match the name provided by the listing broker. DevelopmentD indicates that our system has grouped this listing under a development name that doesn't match the name provided by the listing broker.