to
Reset
Houses
Townhouses
Condos
Land
Price
to
SQFT
to
Bdrms
to
Baths
to
Lot
to
Yr Built
to
Sold
Listed within...
Listed at least...
Offer Review
New Construction
Waterfront
Short-Sales
REO
Parking
to
Unit Flr
to
Unit Nbr
Listings
Neighborhoods
Complexes
Developments
Cities
Counties
Zip Codes
Neighborhood · Condo · Development
School District
Zip Code
City
County
Builder
Listing Numbers
Broker LAG
Boundary Lines
Labels
View
Sort
Sold Closed December 15, 2016
$36,000
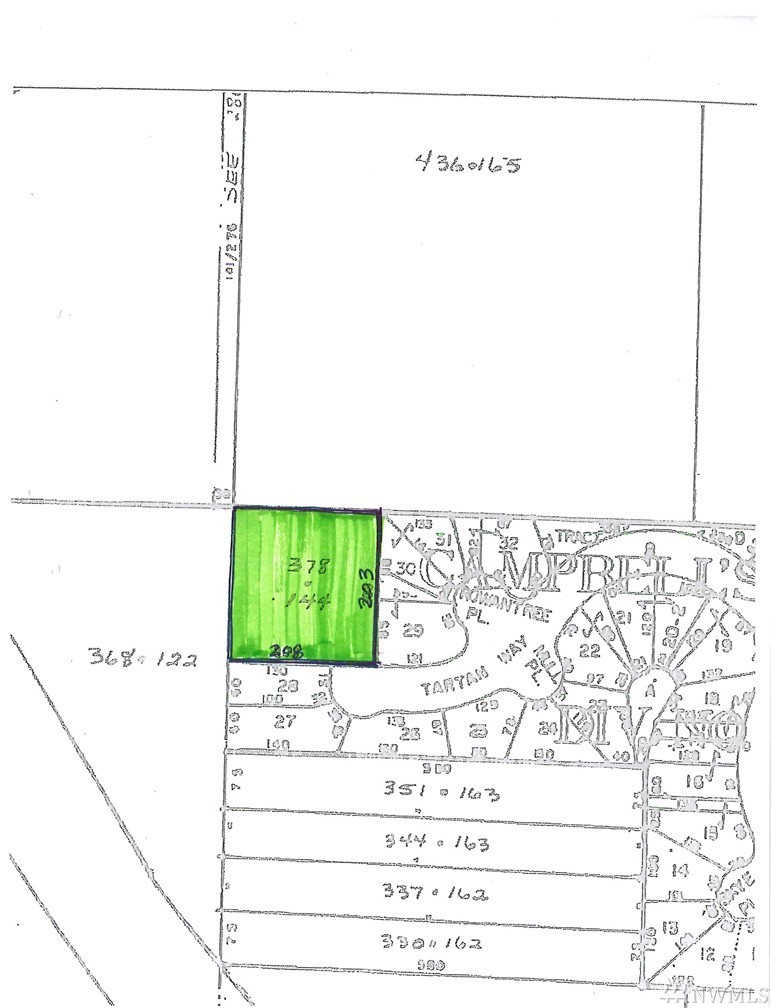
42,287 Sqft Lot
No Garage
SALE HISTORY
List price was $39,750
It took 5 days to go pending.
Then 36 days to close at $36,000
Idyllic setting near ferry and all Whidbey has to offer. Country living on the cusp of community with a perimeter of fir trees, just shy of one acre with grassy meadow in the middle. Adjacent acreage parcels provide additional privacy. Loamy soils are great for growing and conventional septic system. Invest in the future of Whidbey!
Offer Review
No offer review date was specified
Listing source NWMLS MLS #
1049751
Listed by
Marchele Hatchner, Coldwell Banker Tara Prop.
Buyer's broker
Marchele Hatchner, Coldwell Banker Tara Prop.
We don't currently have a buyer representative in this area. To be sure that you're getting objective advice, we always suggest buyers work with their own agent, someone who is not affiliated with the seller.
Time Adjusted Estimated Value
Assumptions: The original sale amount reflected a normal arms length sale. Any major updates would add to the value. Any damage or deferred maintenance would subtract from the value.
Property History
May 06, 2026
Price Reduction arrow_downward
$124,000
Feb 18, 2026
Back on Market
$136,000
Feb 02, 2026
Went Pending Feasibility
$136,000
Dec 04, 2025
Price Reduction arrow_downward
$136,000
Oct 09, 2025
Price Reduction arrow_downward
$148,000
Sep 04, 2025
Listed
$165,000
Dec 14, 2016
Sold
$36,000
NWMLS #1049751
More
Listing Details
  • Sale Price
    $36,000
  • Closing Date
    December 15, 2016
  • Last List Price
    $39,750
  • Original Price
    Same
  • List Date
    November 4, 2016
  • Pending Date
    November 9, 2016
  • Days to go Pending
    5 days
  • $/sqft (Total)
    --
  • $/sqft (Finished)
    /sqft
  • Listing Source
  • MLS Number
    1049751
  • Listing Broker
    Marchele Hatchner
  • Listing Office
    Coldwell Banker Tara Prop.
  • Buyer's Broker
    Marchele Hatchner
  • Buyer Broker's Firm
    Coldwell Banker Tara Prop.
Monthly Payment Estimate
  • Principal and Interest
    $189 / month
  • Property Taxes
    $42 / month
  • Homeowners Insurance
    $63 / month
  • TOTAL
    $294 / month

  • based on 20% down
    ($7,200)
  • and a
    6.85% Interest Rate
  • About:
    All calculations are estimates only and provided by Mainview LLC. Actual amounts will vary.
Property Details
  • Sqft (Total)
    0 sqft
  • Sqft (Finished)
    0 sqft
  • Sqft (Unfinished)
    None
  • Property Type
    Parcel
  • Sub Type
    Res-Less than 1 Acre
  • Bedrooms
    0 Bedrooms
  • Bathrooms
    0 Bathrooms
  • Lot
    42,287 sqft Lot
  • Lot Size Source
    Realist
  • Lot #
    Unspecified
  • Project
    Unspecified
  • Total Stories
    Unspecified
  • Sqft Source
    Unspecified
Property Tax Info
  • 2016 Property Taxes
    $508 / year
  • No Senior Exemption
Public Parcel Data & Maps
  • County
    Island County
  • Parcel #
    R329233781440
  • County Website
    Unspecified
  • County Parcel Map
    Unspecified
  • County GIS Map
    Unspecified
  • About
    County links provided by Mainview LLC
Schools
  • School District
    South Whidbey Island
  • Elementary
    So. Whidbey Primary
  • Middle
    Buyer To Verify
  • High School
    So. Whidbey High
HOA
  • HOA Dues
    Unspecified
  • Fees Assessed
    Unspecified
  • HOA Dues Include
    Unspecified
  • HOA Contact
    Unspecified
  • Management Contact
    Unspecified
Parking
  • Covered
    Unspecified
  • Has Garage
    No
Views
  • Territorial
Construction
  • Home Builder
    Unspecified
Cooling
Heating
Interior
Property
  • Lot Features
    Cul-De-Sac
    Dead End Street
    Paved
Appliances
Terms
  • Bank Owned (REO)
    No
Utilities
  • Sewer
    Not Available
Additional Info
  • Waterfront
    No
  • Air Conditioning (A/C)
    No
  • Buyer Broker's Compensation
    Unspecified
  • MLS Area #
    Area 811
  • Number of Photos
    14
  • Last Modification Time
    Tuesday, February 15, 2022 8:27 PM
  • System Listing ID
    1665895
Update Info
Listing details based on information submitted to the MLS GRID as of Tuesday, February 15, 2022 8:27 PM. All data is obtained from various sources and may not have been verified by broker or MLS GRID. Supplied Open House Information is subject to change without notice. All information should be independently reviewed and verified for accuracy. Properties may or may not be listed by the office/agent presenting the information.
View
Sort

Sharing

 
Sold December 15, 2016
$36,000   $39,750
NWMLS #1049751. Marchele Hatchner, Coldwell Banker Tara Prop.
Map
 
Listing information is provided by the listing agent except as follows: BuilderB indicates that our system has grouped this listing under a home builder name that doesn't match the name provided by the listing broker. DevelopmentD indicates that our system has grouped this listing under a development name that doesn't match the name provided by the listing broker.