to
Reset
Houses
Townhouses
Condos
Land
Price
to
SQFT
to
Bdrms
to
Baths
to
Lot
to
Yr Built
to
Sold
Listed within...
Listed at least...
Offer Review
New Construction
Waterfront
Short-Sales
REO
Parking
to
Unit Flr
to
Unit Nbr
Listings
Neighborhoods
Complexes
Developments
Cities
Counties
Zip Codes
Neighborhood · Condo · Development
School District
Zip Code
City
County
Builder
Listing Numbers
Broker LAG
Boundary Lines
Labels
View
Sort
Sold Closed February 28, 2020
$640,000
4,800 Sqft Lot
No Garage
SALE HISTORY
List price was $625,000
It took 2 days to go pending.
Then 19 days to close at $640,000
GREAT location near Seattle University, restaurants/coffee shops and hospitals! High walk score, close to Pike/Pine corridor and Capitol Hill action. 48’ X 100’ vacant lot on the SE corner of Jefferson and 16th. Property is zoned SF but years ago was granted a contract rezone allowing a six-unit apartment building to be constructed on the site (rezone expired in 2002). Great potential for more units. Buyer to verify building potential and all property information to their own satisfaction.
Offer Review
No offer review date was specified
Listing source NWMLS MLS #
1562261
Listed by
Presha Sparling, Gerrard Beattie & Knapp
Riley Sparling-Beckley, Gerrard Beattie & Knapp
Buyer's broker
Bryan Loe, Windermere Real Estate Co.
Contact our
Central Area
Real Estate Lead
John L. Scott
Phone...
Time Adjusted Estimated Value
Assumptions: The original sale amount reflected a normal arms length sale. Any major updates would add to the value. Any damage or deferred maintenance would subtract from the value.
Property History
Apr 08, 2026
Went Pending
$1,450,000
Mar 27, 2026
Listed
$1,450,000
Mar 12, 2026
Price Reduction arrow_downward
$1,599,000
NWMLS #2483744
Mar 05, 2026
Listed
$1,650,000
NWMLS #2483744
Feb 27, 2020
Sold
$640,000
NWMLS #1562261
Feb 06, 2020
Listed
$625,000
NWMLS #1562261
More
Listing Details
  • Sale Price
    $640,000
  • Closing Date
    February 28, 2020
  • Last List Price
    $625,000
  • Original Price
    Same
  • List Date
    February 7, 2020
  • Pending Date
    February 9, 2020
  • Days to go Pending
    2 days
  • $/sqft (Total)
    --
  • $/sqft (Finished)
    /sqft
  • Listing Source
  • MLS Number
    1562261
  • Listing Broker
    Presha Sparling
  • Listing Office
    Gerrard Beattie & Knapp
  • Buyer's Broker
    Bryan Loe
  • Buyer Broker's Firm
    Windermere Real Estate Co.
Monthly Payment Estimate
  • Principal and Interest
    $3,355 / month
  • Property Taxes
    $263 / month
  • Homeowners Insurance
    $130 / month
  • TOTAL
    $3,748 / month

  • based on 20% down
    ($128,000)
  • and a
    6.85% Interest Rate
  • About:
    All calculations are estimates only and provided by Mainview LLC. Actual amounts will vary.
Property Details
  • Sqft (Total)
    0 sqft
  • Sqft (Finished)
    0 sqft
  • Sqft (Unfinished)
    None
  • Property Type
    Parcel
  • Sub Type
    Res-Less than 1 Acre
  • Bedrooms
    0 Bedrooms
  • Bathrooms
    0 Bathrooms
  • Lot
    4,800 sqft Lot
  • Lot Size Source
    Realist
  • Lot #
    Unspecified
  • Project
    Unspecified
  • Total Stories
    Unspecified
  • Sqft Source
    Unspecified
Property Tax Info
  • 2019 Property Taxes
    $3,151 / year
  • No Senior Exemption
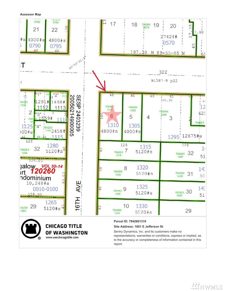
Public Parcel Data & Maps
Schools
  • School District
    Seattle
  • Elementary
    Unspecified
  • Middle
    Unspecified
  • High School
    Unspecified
HOA
  • HOA Dues
    Unspecified
  • Fees Assessed
    Unspecified
  • HOA Dues Include
    Unspecified
  • HOA Contact
    Unspecified
  • Management Contact
    Unspecified
Parking
  • Covered
    Unspecified
  • Has Garage
    No
Construction
  • Home Builder
    Unspecified
Cooling
Heating
Interior
Property
  • Lot Features
    Corner Lot
    Curbs
    Paved
    Sidewalk
Appliances
Terms
  • Bank Owned (REO)
    No
Utilities
  • Sewer
    Available
    In Street
  • Water Source
    Available
    In Street
Additional Info
  • Waterfront
    No
  • Air Conditioning (A/C)
    No
  • Buyer Broker's Compensation
    Unspecified
  • MLS Area #
    Area 390
  • Number of Photos
    2
  • Last Modification Time
    Monday, January 23, 2023 5:02 PM
  • System Listing ID
    1959151
Update Info
Listing details based on information submitted to the MLS GRID as of Monday, January 23, 2023 5:02 PM. All data is obtained from various sources and may not have been verified by broker or MLS GRID. Supplied Open House Information is subject to change without notice. All information should be independently reviewed and verified for accuracy. Properties may or may not be listed by the office/agent presenting the information.
View
Sort

Sharing

 
Sold February 28, 2020
$640,000   $625,000
NWMLS #1562261. Presha Sparling, Gerrard Beattie & Knapp
Map
 
Listing information is provided by the listing agent except as follows: BuilderB indicates that our system has grouped this listing under a home builder name that doesn't match the name provided by the listing broker. DevelopmentD indicates that our system has grouped this listing under a development name that doesn't match the name provided by the listing broker.