to
Reset
Houses
Townhouses
Condos
Land
Price
to
SQFT
to
Bdrms
to
Baths
to
Lot
to
Yr Built
to
Sold
Listed within...
Listed at least...
Offer Review
New Construction
Waterfront
Short-Sales
REO
Parking
to
Unit Flr
to
Unit Nbr
Listings
Neighborhoods
Complexes
Developments
Cities
Counties
Zip Codes
Neighborhood · Condo · Development
School District
Zip Code
City
County
Builder
Listing Numbers
Broker LAG
Boundary Lines
Labels
View
Sort
Sold Closed February 17, 2017
$16,000
6,534 Sqft Lot
No Garage
SALE HISTORY
List price was $19,500
It took 168 days to go pending.
Then 31 days to close at $16,000
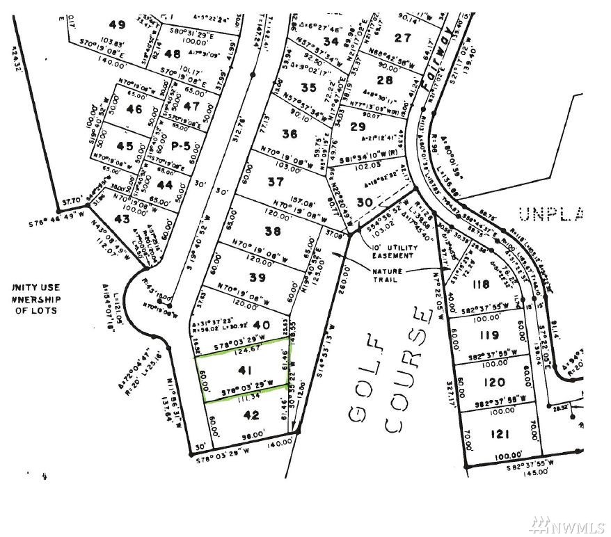
Sunny Gate 1 building lot located at end of cul-de-sac near golf course. All underground utilities including natural gas. Area amenities include 18-hole golf course, marina, beaches on Lake Whatcom, library, 24 hour security, and more!
Offer Review
No offer review date was specified
Listing source NWMLS MLS #
1007884
Listed by
Chris Weitzel, RE/MAX Whatcom County, Inc.
Buyer's broker
Greg Paul, RE/MAX Whatcom County, Inc.
We don't currently have a buyer representative in this area. To be sure that you're getting objective advice, we always suggest buyers work with their own agent, someone who is not affiliated with the seller.
Time Adjusted Estimated Value
Assumptions: The original sale amount reflected a normal arms length sale. Any major updates would add to the value. Any damage or deferred maintenance would subtract from the value.
Property History
Jul 26, 2024
Sold
$835,000
NWMLS #2234543 Annualized 7.8% / yr
Jul 12, 2024
Went Pending
$850,000
Jun 27, 2024
Went Pending Inspection
$850,000
May 15, 2024
Listed
$850,000
Oct 27, 2020
Sold
$629,000
NWMLS #1619358 Annualized 169.7% / yr
Feb 16, 2017
Sold
$16,000
NWMLS #1007884
More
Listing Details
  • Sale Price
    $16,000
  • Closing Date
    February 17, 2017
  • Last List Price
    $19,500
  • Original Price
    Same
  • List Date
    August 2, 2016
  • Pending Date
    January 17, 2017
  • Days to go Pending
    168 days
  • $/sqft (Total)
    --
  • $/sqft (Finished)
    /sqft
  • Listing Source
  • MLS Number
    1007884
  • Listing Broker
    Chris Weitzel
  • Listing Office
    RE/MAX Whatcom County, Inc.
  • Buyer's Broker
    Greg Paul
  • Buyer Broker's Firm
    RE/MAX Whatcom County, Inc.
Monthly Payment Estimate
  • Principal and Interest
    $84 / month
  • Property Taxes
    $5 / month
  • Homeowners Insurance
    $63 / month
  • TOTAL
    $152 / month

  • based on 20% down
    ($3,200)
  • and a
    6.85% Interest Rate
  • About:
    All calculations are estimates only and provided by Mainview LLC. Actual amounts will vary.
Property Details
  • Sqft (Total)
    0 sqft
  • Sqft (Finished)
    0 sqft
  • Sqft (Unfinished)
    None
  • Property Type
    Parcel
  • Sub Type
    Res-Less than 1 Acre
  • Bedrooms
    0 Bedrooms
  • Bathrooms
    0 Bathrooms
  • Lot
    6,534 sqft Lot
  • Lot Size Source
    Realist
  • Lot #
    Unspecified
  • Project
    Unspecified
  • Total Stories
    Unspecified
  • Sqft Source
    Unspecified
Property Tax Info
  • 2016 Property Taxes
    $57 / year
  • No Senior Exemption
Public Parcel Data & Maps
  • County
    Whatcom County
  • Parcel #
    370405008075000
  • County Website
    Unspecified
  • County Parcel Map
    Unspecified
  • County GIS Map
    Unspecified
  • About
    County links provided by Mainview LLC
Schools
  • School District
    Bellingham
  • Elementary
    Geneva Elem
  • Middle
    Kulshan Mid
  • High School
    Bellingham High
HOA
  • HOA Dues
    Unspecified
  • Fees Assessed
    Unspecified
  • HOA Dues Include
    Unspecified
  • HOA Contact
    Unspecified
  • Management Contact
    Unspecified
Community Features
  • Community Features
    Boat Launch
    CCRs
    Club House
    Golf
    Tennis Courts
Parking
  • Covered
    Unspecified
  • Has Garage
    No
Construction
  • Home Builder
    Unspecified
Cooling
Heating
Interior
Property
Appliances
Terms
  • Bank Owned (REO)
    No
Utilities
  • Sewer
    Available
Additional Info
  • Waterfront
    No
  • Air Conditioning (A/C)
    No
  • Buyer Broker's Compensation
    Unspecified
  • MLS Area #
    Area 850
  • Number of Photos
    2
  • Last Modification Time
    Saturday, March 27, 2021 10:58 PM
  • System Listing ID
    262396
Update Info
Listing details based on information submitted to the MLS GRID as of Saturday, March 27, 2021 10:58 PM. All data is obtained from various sources and may not have been verified by broker or MLS GRID. Supplied Open House Information is subject to change without notice. All information should be independently reviewed and verified for accuracy. Properties may or may not be listed by the office/agent presenting the information.
View
Sort

Sharing

 
Sold February 17, 2017
$16,000   $19,500
NWMLS #1007884. Chris Weitzel, RE/MAX Whatcom County, Inc.
Map
 
Listing information is provided by the listing agent except as follows: BuilderB indicates that our system has grouped this listing under a home builder name that doesn't match the name provided by the listing broker. DevelopmentD indicates that our system has grouped this listing under a development name that doesn't match the name provided by the listing broker.