to
Reset
Houses
Townhouses
Condos
Land
Price
to
SQFT
to
Bdrms
to
Baths
to
Lot
to
Yr Built
to
Sold
Listed within...
Listed at least...
Offer Review
New Construction
Waterfront
Short-Sales
REO
Parking
to
Unit Flr
to
Unit Nbr
Listings
Neighborhoods
Complexes
Developments
Cities
Counties
Zip Codes
Neighborhood · Condo · Development
School District
Zip Code
City
County
Builder
Listing Numbers
Broker LAG
Boundary Lines
Labels
View
Sort
Sold Closed September 12, 2017
$45,000
10,175 Sqft Lot
No Garage
HOA Dues $26 / month
SALE HISTORY
List price was $48,000
It took 45 days to go pending.
Then 15 days to close at $45,000
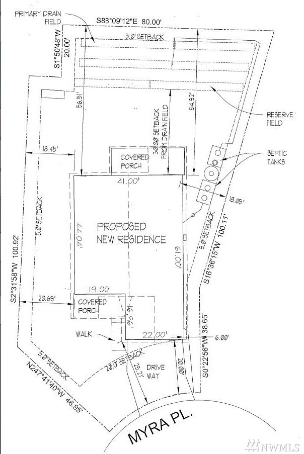
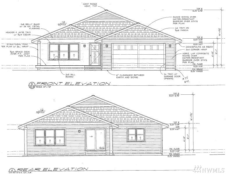
Nice, mostly level and grassy lot on cul-de-sac of 7 properties; this is the only vacant lot. There are building plans available for an architect designed house, an expired septic system permit shows a 2-bedroom alternative system and water hook-up is available from Bayview Beach Water District. Enjoy community amenities of beach access, clubhouse, and seasonal pool.
Offer Review
No offer review date was specified
Listing source NWMLS MLS #
1160932
Listed by
Libby Hayward, Windermere RE/South Whidbey
Buyer's broker
Sharley Lewis, Coldwell Banker Tara Prop.
We don't currently have a buyer representative in this area. To be sure that you're getting objective advice, we always suggest buyers work with their own agent, someone who is not affiliated with the seller.
Time Adjusted Estimated Value
Assumptions: The original sale amount reflected a normal arms length sale. Any major updates would add to the value. Any damage or deferred maintenance would subtract from the value.
Property History
Feb 18, 2026
Sold
$548,000
NWMLS #2389316 Annualized 5.6% / yr
Jan 16, 2026
Went Pending
$548,000
Jan 10, 2026
Went Pending Inspection
$548,000
Oct 30, 2025
Price Reduction arrow_downward
$548,000
Sep 22, 2025
Price Reduction arrow_downward
$565,000
Jun 16, 2025
Listed
$595,000
Apr 16, 2019
Sold
$377,000
NWMLS #1367762 Annualized 280.7% / yr
Sep 11, 2017
Sold
$45,000
NWMLS #1160932
More
Listing Details
  • Sale Price
    $45,000
  • Closing Date
    September 12, 2017
  • Last List Price
    $48,000
  • Original Price
    Same
  • List Date
    July 14, 2017
  • Pending Date
    August 28, 2017
  • Days to go Pending
    45 days
  • $/sqft (Total)
    --
  • $/sqft (Finished)
    /sqft
  • Listing Source
  • MLS Number
    1160932
  • Listing Broker
    Libby Hayward
  • Listing Office
    Windermere RE/South Whidbey
  • Buyer's Broker
    Sharley Lewis
  • Buyer Broker's Firm
    Coldwell Banker Tara Prop.
Monthly Payment Estimate
  • Principal and Interest
    $236 / month
  • HOA
    $26 / month
  • Property Taxes
    $28 / month
  • Homeowners Insurance
    $63 / month
  • TOTAL
    $353 / month

  • based on 20% down
    ($9,000)
  • and a
    6.85% Interest Rate
  • About:
    All calculations are estimates only and provided by Mainview LLC. Actual amounts will vary.
Property Details
  • Sqft (Total)
    0 sqft
  • Sqft (Finished)
    0 sqft
  • Sqft (Unfinished)
    None
  • Property Type
    Parcel
  • Sub Type
    Res-Less than 1 Acre
  • Bedrooms
    0 Bedrooms
  • Bathrooms
    0 Bathrooms
  • Lot
    10,175 sqft Lot
  • Lot Size Source
    Realist
  • Lot #
    97
  • Project
    Unspecified
  • Total Stories
    Unspecified
  • Sqft Source
    Unspecified
Property Tax Info
  • 2017 Property Taxes
    $336 / year
  • No Senior Exemption
Public Parcel Data & Maps
  • County
    Island County
  • Parcel #
    S814010000970
  • County Website
    Unspecified
  • County Parcel Map
    Unspecified
  • County GIS Map
    Unspecified
  • About
    County links provided by Mainview LLC
Schools
  • School District
    South Whidbey Island
  • Elementary
    Unspecified
  • Middle
    Unspecified
  • High School
    Unspecified
HOA
  • HOA Dues
    $26 / month
  • Fees Assessed
    Monthly
  • HOA Dues Include
    Common Area Maintenance
    Road Maintenance
  • HOA Contact
    Unspecified
  • Management Contact
    Unspecified
Community Features
  • Community Features
    CCRs
    Club House
    Community Waterfront/Pvt Beach
    Golf
    Tennis Courts
Parking
  • Covered
    Unspecified
  • Has Garage
    No
Views
  • Territorial
Construction
  • Home Builder
    Unspecified
Cooling
Heating
Interior
Property
  • Lot Features
    Cul-De-Sac
    Paved
Appliances
Terms
  • Bank Owned (REO)
    No
Utilities
  • Sewer
    Not Available
Additional Info
  • Waterfront
    No
  • Air Conditioning (A/C)
    No
  • Buyer Broker's Compensation
    Unspecified
  • MLS Area #
    Area 811
  • Number of Photos
    6
  • Last Modification Time
    Saturday, March 27, 2021 8:52 AM
  • System Listing ID
    273104
Update Info
Listing details based on information submitted to the MLS GRID as of Saturday, March 27, 2021 8:52 AM. All data is obtained from various sources and may not have been verified by broker or MLS GRID. Supplied Open House Information is subject to change without notice. All information should be independently reviewed and verified for accuracy. Properties may or may not be listed by the office/agent presenting the information.
View
Sort

Sharing

 
Sold September 12, 2017
$45,000   $48,000
NWMLS #1160932. Libby Hayward, Windermere RE/South Whidbey
Map
 
Listing information is provided by the listing agent except as follows: BuilderB indicates that our system has grouped this listing under a home builder name that doesn't match the name provided by the listing broker. DevelopmentD indicates that our system has grouped this listing under a development name that doesn't match the name provided by the listing broker.