to
Reset
Houses
Townhouses
Condos
Land
Price
to
SQFT
to
Bdrms
to
Baths
to
Lot
to
Yr Built
to
Sold
Listed within...
Listed at least...
Offer Review
New Construction
Waterfront
Short-Sales
REO
Parking
to
Unit Flr
to
Unit Nbr
Listings
Neighborhoods
Complexes
Developments
Cities
Counties
Zip Codes
Neighborhood · Condo · Development
School District
Zip Code
City
County
Builder
Listing Numbers
Broker LAG
Boundary Lines
Labels
View
Sort
Sold Closed September 24, 2025
$125,000
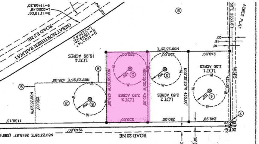
2.5 Acres Lot
No Garage
SALE HISTORY
List price was $133,000
It took 0 days to go pending.
Then 8 days to close at $125,000
Are you ready to start building without going through the hassle of putting in utilities and applying for all the permits? This property is for you! With 2.5 acres and plans for a 1497 sq ft home 2 car garage already approved and ready to be built. Water well and electricity on property, 3 bd septic system design has been approved and ready to be built. All the homework has been done for you and now you can just buy and start building. Reach out with any questions!
Offer Review
No offer review date was specified
Listing source NWMLS MLS #
2433833
Listed by
Tatyana Reynolds, Keller Williams Columbia Basin
Buyer's broker
Tatyana Reynolds, Keller Williams Columbia Basin
We don't currently have a buyer representative in this area. To be sure that you're getting objective advice, we always suggest buyers work with their own agent, someone who is not affiliated with the seller.
Property History
Sep 24, 2025
Sold
$125,000
NWMLS #2433833
Sep 16, 2025
Went Pending
$133,000
NWMLS #2433833
Sep 16, 2025
Listed
$133,000
NWMLS #2433833
Jun 23, 2025
Price Reduction arrow_downward
$133,000
NWMLS #2343774
Apr 01, 2025
Price Reduction arrow_downward
$153,000
NWMLS #2343774
Mar 12, 2025
Listed
$163,000
NWMLS #2343774
More
Listing Details
  • Sale Price
    $125,000
  • Closing Date
    September 24, 2025
  • Last List Price
    $133,000
  • Original Price
    Same
  • List Date
    September 16, 2025
  • Pending Date
    September 16, 2025
  • Days to go Pending
    0 days
  • $/sqft (Total)
    --
  • $/sqft (Finished)
    /sqft
  • Listing Source
  • MLS Number
    2433833
  • Listing Broker
    Tatyana Reynolds
  • Listing Office
    Keller Williams Columbia Basin
  • Buyer's Broker
    Tatyana Reynolds
  • Buyer Broker's Firm
    Keller Williams Columbia Basin
Monthly Payment Estimate
  • Principal and Interest
    $655 / month
  • Property Taxes
    $5 / month
  • Homeowners Insurance
    $63 / month
  • TOTAL
    $723 / month

  • based on 20% down
    ($25,000)
  • and a
    6.85% Interest Rate
  • About:
    All calculations are estimates only and provided by Mainview LLC. Actual amounts will vary.
Property Details
  • Sqft (Total)
    0 sqft
  • Sqft (Finished)
    0 sqft
  • Sqft (Unfinished)
    None
  • Property Type
    Parcel
  • Sub Type
    Res-Over 1 Acre
  • Bedrooms
    Bedrooms
  • Bathrooms
    0 Bathrooms
  • Lot
    2.5 Acres Lot
  • Lot Size Source
    County
  • Lot #
    Unspecified
  • Project
    Unspecified
  • Total Stories
    Unspecified
  • Sqft Source
    Unspecified
Property Tax Info
  • 2024 Property Taxes
    $54 / year
  • No Senior Exemption
Public Parcel Data & Maps
  • County
    Grant County
  • Parcel #
    314825000
  • County Website
    Unspecified
  • County Parcel Map
    Unspecified
  • County GIS Map
    Unspecified
  • About
    County links provided by Mainview LLC
Schools
  • School District
    Soap Lake
  • Elementary
    Unspecified
  • Middle
    Unspecified
  • High School
    Unspecified
HOA
  • HOA Dues
    Unspecified
  • Fees Assessed
    Unspecified
  • HOA Dues Include
    Unspecified
  • HOA Contact
    Unspecified
  • Management Contact
    Unspecified
Parking
  • Covered
    Unspecified
  • Has Garage
    No
Views
  • Territorial
Construction
  • Home Builder
    Unspecified
Cooling
Heating
Interior
Property
Appliances
Terms
  • Bank Owned (REO)
    No
Utilities
  • Sewer
    Not Available
  • Water Source
    Private Well
Additional Info
  • Waterfront
    No
  • Air Conditioning (A/C)
    No
  • Buyer Broker's Compensation
    2.5%
  • MLS Area #
    Area 291
  • Number of Photos
    6
  • Last Modification Time
    Wednesday, September 24, 2025 8:04 PM
  • System Listing ID
    5483334
Update Info
  • Closed
    2025-09-24 20:14:10
  • Pending Or Ctg
    2025-09-16 16:06:52
  • First For Sale
    2025-09-16 15:47:18
Listing details based on information submitted to the MLS GRID as of Wednesday, September 24, 2025 8:04 PM. All data is obtained from various sources and may not have been verified by broker or MLS GRID. Supplied Open House Information is subject to change without notice. All information should be independently reviewed and verified for accuracy. Properties may or may not be listed by the office/agent presenting the information.
View
Sort

Sharing

 
Sold September 24, 2025
$125,000   $133,000
NWMLS #2433833. Tatyana Reynolds, Keller Williams Columbia Basin
Map
 
Listing information is provided by the listing agent except as follows: BuilderB indicates that our system has grouped this listing under a home builder name that doesn't match the name provided by the listing broker. DevelopmentD indicates that our system has grouped this listing under a development name that doesn't match the name provided by the listing broker.