to
Reset
Houses
Townhouses
Condos
Land
Price
to
SQFT
to
Bdrms
to
Baths
to
Lot
to
Yr Built
to
Sold
Listed within...
Listed at least...
Offer Review
New Construction
Waterfront
Short-Sales
REO
Parking
to
Unit Flr
to
Unit Nbr
Listings
Neighborhoods
Complexes
Developments
Cities
Counties
Zip Codes
Neighborhood · Condo · Development
School District
Zip Code
City
County
Builder
Listing Numbers
Broker LAG
Boundary Lines
Labels
View
Sort
Pending Feasibility Went pending in 2 days
$29,900
3,000 Sqft Lot
No Garage
HOA Dues $159 / month
The seller has reached an agreement with a buyer to sell this property. If things go as planned, the sale will become final in the near future. The buyer and seller have agreed on a price but it's not public until the sale closes. The last published list price was $29,900.
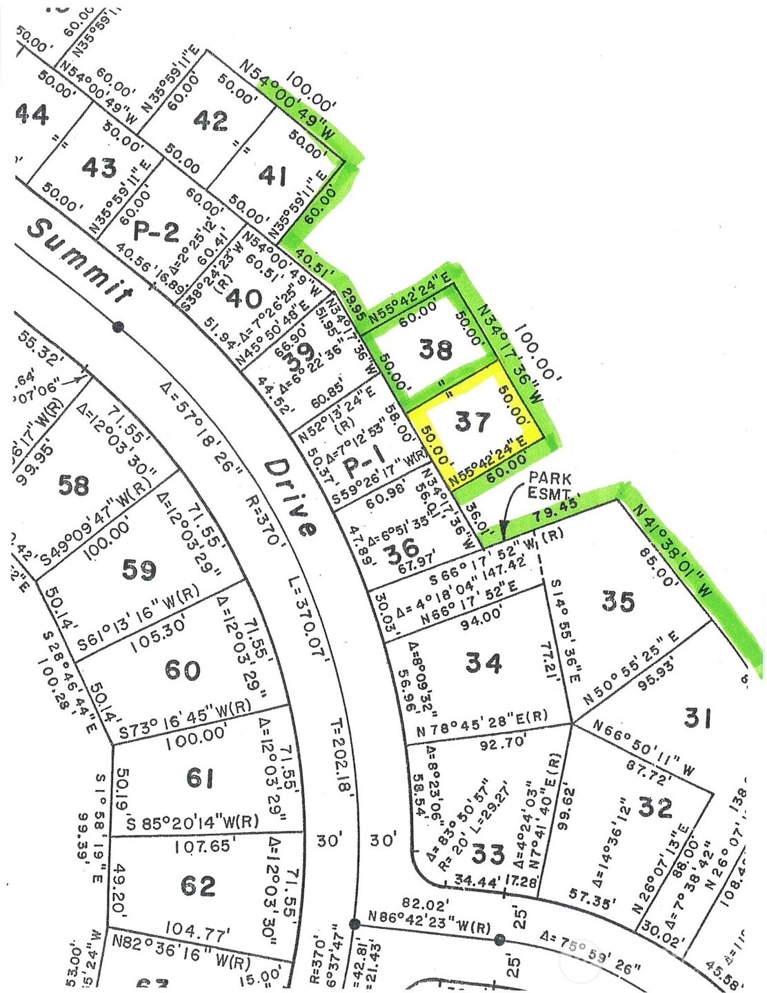
Very desirable down-sloping vacant lot located in the lakeside and golf course community of Sudden Valley - with filtered territorial views towards Lake Whatcom. This property has had a recent survey - and corners are clearly marked. The property is accessed by a 50' wide access area (see plat map) and sits 60' away from North Summit Drive. The P-1 access area is located between the homes at 15 and 17 North Summit Dr. The vacant lot to the left of this property is owned by Sudden Valley and was previously turned into a natural area (green-belt) - providing green areas on three sides of this property. The gentle down slope makes this property conducive for a home plan with main level living (including garage) and a daylight basement below. Possibly even a home design with the entire primary suite above the main level if desired. Enjoy filtered territorial views towards Lake Whatcom and the Stewart Mountains. Extremely nice setting!
Offer Review
No offer review date was specified
Listing source NWMLS MLS #
2490417
Listed by
Greg Paul, RE/MAX Whatcom County, Inc.
We don't currently have a buyer representative in this area. To be sure that you're getting objective advice, we always suggest buyers work with their own agent, someone who is not affiliated with the seller.
Property History
Mar 13, 2026
Went Pending Feasibility
$29,900
NWMLS #2490417
Mar 10, 2026
Listed
$29,900
NWMLS #2490417
Jun 14, 2025
Price Reduction arrow_downward
$29,900
NWMLS #2317334
Dec 18, 2024
Listed
$38,500
NWMLS #2317334
More
Listing Details
  • Status
    Pending Feasibility
  • Last Listed Price
    $29,900
  • Original Price
    Same as current
  • List Date
    March 10, 2026
  • Last Status Change
    March 13, 2026
  • Last Update
    March 13, 2026
  • Days on Market
    6 Days
  • Cumulative DOM
    2 Days
  • Pending Date
    March 12, 2026
  • Days to go Pending
    2
  • $/sqft (Total)
    --
  • $/sqft (Finished)
    /sqft
  • Listing Source
  • MLS Number
    2490417
  • Listing Broker
    Greg Paul
  • Listing Office
    RE/MAX Whatcom County, Inc.
Monthly Payment Estimate
  • Principal and Interest
    $157 / month
  • HOA
    $159 / month
  • Property Taxes
    $30 / month
  • Homeowners Insurance
    $63 / month
  • TOTAL
    $409 / month

  • based on 20% down
    ($5,980)
  • and a
    6.85% Interest Rate
  • About:
    All calculations are estimates only and provided by Mainview LLC. Actual amounts will vary.
Property Details
  • Sqft (Total)
    0 sqft
  • Sqft (Finished)
    0 sqft
  • Sqft (Unfinished)
    None
  • Property Type
    Parcel
  • Sub Type
    Res-Less than 1 Acre
  • Bedrooms
    Bedrooms
  • Bathrooms
    0 Bathrooms
  • Lot
    3,000 sqft Lot
  • Lot Size Source
    Plat Map
  • Lot #
    37
  • Project
    Sudden Valley
  • Total Stories
    Unspecified
  • Sqft Source
    Unspecified
Property Tax Info
  • 2026 Property Taxes
    $363 / year
  • No Senior Exemption
Public Parcel Data & Maps
  • County
    Whatcom County
  • Parcel #
    3704060894940000
  • County Website
    Unspecified
  • County Parcel Map
    Unspecified
  • County GIS Map
    Unspecified
  • About
    County links provided by Mainview LLC
Schools
  • School District
    Bellingham
  • Elementary
    Geneva Elem
  • Middle
    Kulshan Mid
  • High School
    Bellingham High
HOA
  • HOA Dues
    $159 / month
  • Fees Assessed
    Monthly
  • HOA Dues Include
    Common Area Maintenance
    Road Maintenance
    Security
    Snow Removal
  • HOA Contact
    Unspecified
  • Management Contact
Community Features
  • Community Features
    Athletic Court
    Boat Launch
    CCRs
    Club House
    Golf
    Park
    Playground
    Trail(s)
Parking
  • Covered
    Unspecified
  • Has Garage
    No
Views
  • Mountains
    Partial
Construction
  • Home Builder
    Unspecified
Cooling
Heating
Interior
Property
  • Lot Features
    Paved
Appliances
Terms
  • 3rd Party Approval Required)
    No
  • Bank Owned (REO)
    No
  • Complex FHA Availability
    Unspecified
  • Potential Terms
    Cash
    Conventional
Utilities
  • Sewer
    Available
  • Water Source
    Available
Additional Info
  • Waterfront
    No
  • Air Conditioning (A/C)
    No
  • Buyer Broker's Compensation
    3.5%
  • MLS Area #
    Area 850
  • Number of Photos
    4
  • Last Modification Time
    Friday, March 13, 2026 9:07 AM
  • System Listing ID
    5527328
Update Info
  • Pending Or Ctg
    2026-03-13 09:55:59
  • First For Sale
    2026-03-10 11:45:43
Listing details based on information submitted to the MLS GRID as of Friday, March 13, 2026 9:07 AM. All data is obtained from various sources and may not have been verified by broker or MLS GRID. Supplied Open House Information is subject to change without notice. All information should be independently reviewed and verified for accuracy. Properties may or may not be listed by the office/agent presenting the information.
View
Sort

Sharing

 
Pending Feasibility March 12, 2026
$29,900  
NWMLS #2490417. Greg Paul, RE/MAX Whatcom County, Inc.
Map
 
Listing information is provided by the listing agent except as follows: BuilderB indicates that our system has grouped this listing under a home builder name that doesn't match the name provided by the listing broker. DevelopmentD indicates that our system has grouped this listing under a development name that doesn't match the name provided by the listing broker.